351 vizualizari
Imprima
De vanzare 4 ha teren intravilan invecinat cu proiect imobiliar pentru 226 case
Va prezentam o oportunitate rara de investitie imobiliara in municipiul Cluj-Napoca, strada Odobesi, intr-o zona aflata intr-un proces accelerat de transformare urbana si reconversie functionala.
Proprietate: - teren intravilan incadrat in categoria TDA;
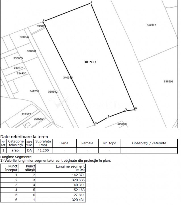
Suprafata: - 41.200 mp;
Topografie: - configuratie plana, ideala pentru dezvoltare etapizata;
Localizare: - cartier Iris, la capatul strazii Cosminului, cu acces din strada Odobesti.
Proprietatea este amplasata intr-un perimetru strategic al orasului, caracterizat printr-un mix echilibrat de zone rezidentiale, servicii si foste platforme industriale aflate in curs de reconversie, oferind premise solide pentru proiecte cu valoare adaugata ridicata.
Context urbanistic favorabil
Terenul se invecineaza pe doua laturi cu proprietati care beneficiaza de aviz de oportunitate aprobat, permitand:
- dezvoltari rezidentiale cu densitate mica, regim de inaltime maxim 3 niveluri supraterane;
(POT max 35%, CUT max 0,9)
- functiuni de institutii si servicii publice.
(POT max 40%, CUT max 1,8)
Acest context urbanistic ofera investitorului flexibilitate in conceptul de dezvoltare, permitand proiecte rezidentiale premium, ansambluri mixte sau functiuni complementare de servicii.
Utilitati
Toate utilitatile majore – curent electric, apa, gaz si canalizare – sunt disponibile in imediata apropiere, pe strazile Odobesti si Cosminului, precum si in zona de hale de pe strada Oasului, facilitand o implementare eficienta a proiectului.
Acces si conectivitate
- acces rutier din strada Odobesti
Proximitate excelenta fata de puncte cheie de interes:
- aprox. 2 km – Cluj Innovation Park si hipermarket Auchan Iris;
- aprox. 2,5 km – Lidl, strada Fabricii;
- aprox. 3 km – viitorul mall Rivus, proiect major de regenerare urbana.
Situatie juridica
- unic proprietar, carte funciara fara sarcini, tranzactie clara si sigura.
Prin dimensiune, localizare si context urbanistic, aceasta proprietate reprezinta o oportunitate strategica pentru dezvoltatori imobiliari si investitori institutionali, atat din Romania, cat si din strainatate, interesati de proiecte sustenabile intr-unul dintre cele mai dinamice orase din Europa Centrala si de Est.
LINK AVIZ OPORTUNITATE TEREN INVECINAT:
https://primariaclujnapoca.ro/urbanism/proiecte-de-urbanism/studiu-de-oportunitate-pentru-initiere-puz-de-urbanizare-actualizare-aviz-de-oportunitate-nr-107-2023/
Link articol de presa 2026:
https://media9.ro/iata-unde-vor-locui-800-de-clujeni-proiect-cu-226-de-locuinte-in-nordul-clujului/
Pentru informatii suplimentare, documentatie urbanistica sau discutii preliminare privind structura unei tranzactii, va stam la dispozitie.
We present you a rare real estate investment opportunity in Cluj-Napoca, in an area undergoing an accelerated process of urban transformation and functional reconversion.
Property: - urban land classified as TDA
Area: - 41,200 sqm
Topography: - flat configuration, ideal for phased development
Location: - Iris neighborhood, at the end of Cosminului Street, with access from Odobesti Street
The property is located in a strategic area of the city, characterized by a balanced mix of residential areas, services and former industrial platforms undergoing reconversion, offering solid premises for projects with high added value.
Favorable urban context
The land borders on two sides with properties that benefit from an approved opportunity notice, allowing:
- low-density residential developments, maximum height regime of 3 above-ground levels
(POT max 35%, CUT max 0.9)
- public institution and service functions
(POT max 40%, CUT max 1.8)
This urban context offers the investor flexibility in the development concept, allowing premium residential projects, mixed-use complexes or complementary service functions.
Utilities
All major utilities – electricity, water, gas and sewage – are available in the immediate vicinity, on Odobesti and Cosminului streets, as well as in the warehouse area on Oasului street, facilitating an efficient implementation of the project.
Access and connectivity
- road access from Odobesti street
Excellent proximity to key points of interest:
- approx. 2 km – Cluj Innovation Park and Auchan Iris hypermarket;
- approx. 2.5 km – Lidl, Fabricii street;
- approx. 3 km – future Rivus mall, major urban regeneration project.
Legal situation
- sole owner, land register without encumbrances, clear and secure transaction.
Due to its size, location and urban context, this property represents a strategic opportunity for real estate developers and institutional investors, both from Romania and abroad, interested in sustainable projects in one of the most dynamic cities in Central and Eastern Europe.
LINK NOTICE OPPORTUNITY INJURED LAND: https://primariaclujnapoca.ro/urbanism/proiecte-de-urbanism/studiu-de-oportunitate-pentru-initiere-puz-de-urbanizare-actualizare-aviz-de-oportunitate-nr-107-2023/
Link press article 2026:
https://media9.ro/iata-unde-vor-locui-800-de-clujeni-proiect-cu-226-de-locuinte-in-nordul-clujului/
For additional information, urban planning documentation or preliminary discussions regarding the structure of a transaction, we are at your disposal.
Proprietate: - teren intravilan incadrat in categoria TDA;
Suprafata: - 41.200 mp;
Topografie: - configuratie plana, ideala pentru dezvoltare etapizata;
Localizare: - cartier Iris, la capatul strazii Cosminului, cu acces din strada Odobesti.
Proprietatea este amplasata intr-un perimetru strategic al orasului, caracterizat printr-un mix echilibrat de zone rezidentiale, servicii si foste platforme industriale aflate in curs de reconversie, oferind premise solide pentru proiecte cu valoare adaugata ridicata.
Context urbanistic favorabil
Terenul se invecineaza pe doua laturi cu proprietati care beneficiaza de aviz de oportunitate aprobat, permitand:
- dezvoltari rezidentiale cu densitate mica, regim de inaltime maxim 3 niveluri supraterane;
(POT max 35%, CUT max 0,9)
- functiuni de institutii si servicii publice.
(POT max 40%, CUT max 1,8)
Acest context urbanistic ofera investitorului flexibilitate in conceptul de dezvoltare, permitand proiecte rezidentiale premium, ansambluri mixte sau functiuni complementare de servicii.
Utilitati
Toate utilitatile majore – curent electric, apa, gaz si canalizare – sunt disponibile in imediata apropiere, pe strazile Odobesti si Cosminului, precum si in zona de hale de pe strada Oasului, facilitand o implementare eficienta a proiectului.
Acces si conectivitate
- acces rutier din strada Odobesti
Proximitate excelenta fata de puncte cheie de interes:
- aprox. 2 km – Cluj Innovation Park si hipermarket Auchan Iris;
- aprox. 2,5 km – Lidl, strada Fabricii;
- aprox. 3 km – viitorul mall Rivus, proiect major de regenerare urbana.
Situatie juridica
- unic proprietar, carte funciara fara sarcini, tranzactie clara si sigura.
Prin dimensiune, localizare si context urbanistic, aceasta proprietate reprezinta o oportunitate strategica pentru dezvoltatori imobiliari si investitori institutionali, atat din Romania, cat si din strainatate, interesati de proiecte sustenabile intr-unul dintre cele mai dinamice orase din Europa Centrala si de Est.
LINK AVIZ OPORTUNITATE TEREN INVECINAT:
https://primariaclujnapoca.ro/urbanism/proiecte-de-urbanism/studiu-de-oportunitate-pentru-initiere-puz-de-urbanizare-actualizare-aviz-de-oportunitate-nr-107-2023/
Link articol de presa 2026:
https://media9.ro/iata-unde-vor-locui-800-de-clujeni-proiect-cu-226-de-locuinte-in-nordul-clujului/
Pentru informatii suplimentare, documentatie urbanistica sau discutii preliminare privind structura unei tranzactii, va stam la dispozitie.
We present you a rare real estate investment opportunity in Cluj-Napoca, in an area undergoing an accelerated process of urban transformation and functional reconversion.
Property: - urban land classified as TDA
Area: - 41,200 sqm
Topography: - flat configuration, ideal for phased development
Location: - Iris neighborhood, at the end of Cosminului Street, with access from Odobesti Street
The property is located in a strategic area of the city, characterized by a balanced mix of residential areas, services and former industrial platforms undergoing reconversion, offering solid premises for projects with high added value.
Favorable urban context
The land borders on two sides with properties that benefit from an approved opportunity notice, allowing:
- low-density residential developments, maximum height regime of 3 above-ground levels
(POT max 35%, CUT max 0.9)
- public institution and service functions
(POT max 40%, CUT max 1.8)
This urban context offers the investor flexibility in the development concept, allowing premium residential projects, mixed-use complexes or complementary service functions.
Utilities
All major utilities – electricity, water, gas and sewage – are available in the immediate vicinity, on Odobesti and Cosminului streets, as well as in the warehouse area on Oasului street, facilitating an efficient implementation of the project.
Access and connectivity
- road access from Odobesti street
Excellent proximity to key points of interest:
- approx. 2 km – Cluj Innovation Park and Auchan Iris hypermarket;
- approx. 2.5 km – Lidl, Fabricii street;
- approx. 3 km – future Rivus mall, major urban regeneration project.
Legal situation
- sole owner, land register without encumbrances, clear and secure transaction.
Due to its size, location and urban context, this property represents a strategic opportunity for real estate developers and institutional investors, both from Romania and abroad, interested in sustainable projects in one of the most dynamic cities in Central and Eastern Europe.
LINK NOTICE OPPORTUNITY INJURED LAND: https://primariaclujnapoca.ro/urbanism/proiecte-de-urbanism/studiu-de-oportunitate-pentru-initiere-puz-de-urbanizare-actualizare-aviz-de-oportunitate-nr-107-2023/
Link press article 2026:
https://media9.ro/iata-unde-vor-locui-800-de-clujeni-proiect-cu-226-de-locuinte-in-nordul-clujului/
For additional information, urban planning documentation or preliminary discussions regarding the structure of a transaction, we are at your disposal.
https://www.weltimobiliare.ro/vanzare-teren-cluj-napoca-iris-id-71223.html
Detalii anunt
-
strada-
-
carte funciaranu
-
curentnu
-
certificat urbanismnu
-
apanu
-
canalizarenu
-
gaznu